Ta cesta bo zaradi obsežnih del kmalu ponovno popolnoma zaprta

| v Lokalno

Popolna zapora bo trajala od 27. junija od polnoči do 1. julija 2024 do 5. ure zjutraj.

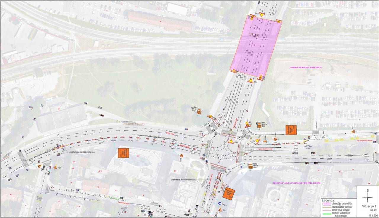
Direkcija Republike Slovenije za infrastrukturo obvešča javnost, da so pripravljalna dela za rušitev severnega dela obstoječega železniškega nadvoza čez Dunajsko cesto v polnem teku. Začetek rušitvenih del je predviden za četrtek, 27. junija 2024.

Rušenje severnega dela nadvoza bo obsegalo odstranjevanje robnega in notranjega nosilca, stebrov ter oporne konstrukcije. Zaradi obsežnih del bo potrebna popolna zapora Dunajske ceste, vključno s pločniki za pešce in kolesarje. 

Zapora bo trajala od 27. junija od polnoči do 1. julija 2024 do 5. ure zjutraj

Po odpravi popolne zapore bo vzpostavljena delna zapora, ki bo trajala predvidoma do konca leta 2024. 

Vir: Direkcija Republike Slovenije za infrastrukturo

V tem času bodo prevozni štirje vozni pasovi za osebna vozila in Ljubljanski potniški promet (v vsako smer po dva), pešci in kolesarji pa bodo lahko uporabljali koridor na zahodni strani ceste.

Vsem udeležencem v železniškem prometu in uporabnikom Dunajske ceste se zahvaljujejo za potrpežljivost in razumevanje.

Preberite še

Komentarji

Komentarji

Lokalno

Vse v Lokalno

Šport

Vse v Šport

Politika

Gospodarstvo

Slovenija

Scena

Svet

Vse v Svet

Kronika

Vse v Kronika

Kultura

Vse v Kultura